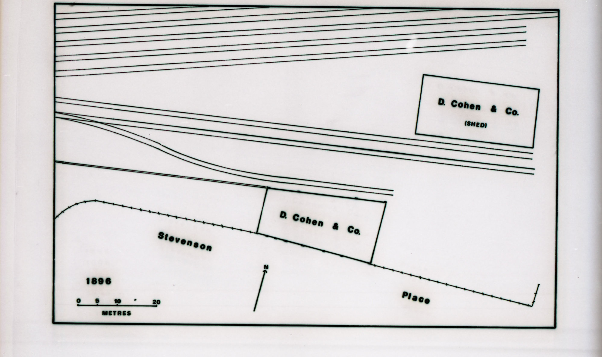
Site plan, David Cohen and Company, Newcastle, NSW, 1896, redrawn D Bairstow, 1979
Editing is temporarily disabled
Cancel EditClick on the image to add
a tag or press ESC to cancel
a tag or press ESC to cancel
loading google map....
Bairstow, Damaris, Site plan, David Cohen and Company, Newcastle, NSW, 1896, redrawn D Bairstow, 1979 (1896), [C919-0953]. Living Histories, accessed 20/04/2026, https://livinghistories.newcastle.edu.au/nodes/view/104267




